Service Guide

Get Ants Extermination Service

Local contractors offer ant extermination services to eliminate infestations, protect property structures, and ensure a pest-free environment for homeowners.

Ants can quickly become a persistent nuisance for property owners in the area, making professional extermination services a practical solution. Whether dealing with an ongoing invasion or taking preventative steps, finding reliable local contractors can help address the issue effectively. Exploring options in the community ensures that property owners can identify experienced service providers suited to their specific needs.

Comparing local ants extermination services allows property owners to evaluate the approaches and expertise available nearby. This process helps in planning pest control projects with confidence, ensuring that the chosen service providers are capable of delivering the results desired. Continuing to read can provide valuable insights into how local contractors can assist in maintaining a pest-free environment.

Get Ants Extermination Service Quotes

  • Ants Extermination - when ants have invaded a home or business and require professional removal.
  • Ants Prevention - to establish barriers and reduce the likelihood of future ant infestations.
  • Ants Inspection - for identifying the extent of an ant problem and locating nesting sites.
  • Ants Treatment - when existing ant colonies need targeted solutions to eliminate the pests.
  • Ants Control - to manage recurring ant issues and maintain a pest-free environment.
Ants Extermination Service
Ants Extermination Service
Ants Extermination Service

Ants extermination services involve targeted treatments designed to eliminate ant colonies and prevent future infestations. These services typically include a thorough inspection of the property to identify ant entry points, nesting sites, and the extent of the problem. Depending on the situation, service providers may use baiting systems, residual sprays, or dust formulations to effectively eradicate ants and reduce the likelihood of re-infestation. The goal is to create a barrier that keeps ants from entering living spaces and to eliminate the colonies causing the nuisance.

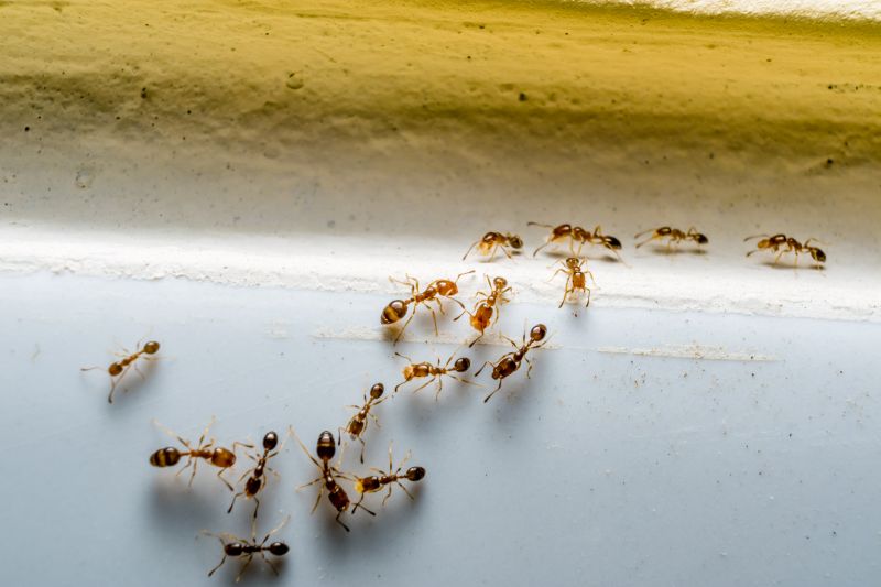
Ant problems can cause significant frustration for homeowners, especially when ants invade kitchens, pantries, or other areas where food is stored. Common issues include large swarms of ants marching across countertops, trails leading into walls or under appliances, and persistent reappearances despite basic cleaning efforts. Ant extermination services help resolve these problems by targeting the source of the infestation, removing the colonies, and implementing preventative measures to keep ants from returning. This can be especially important in homes where food contamination or damage to property becomes a concern.

Both residential and commercial properties frequently seek ant extermination services to maintain a clean and pest-free environment. Homes with gardens, cracks in foundations, or poorly sealed windows are more vulnerable to ant invasions. Similarly, businesses such as restaurants, grocery stores, and food production facilities often require regular pest control to meet health standards and prevent costly disruptions. Property managers of multi-unit buildings or apartment complexes also rely on these services to address infestations quickly and keep common areas safe and comfortable for residents.

Homeowners typically need ant extermination when they notice signs of an active infestation or repeated ant sightings despite cleaning efforts. Common indicators include visible trails, ant mounds near the foundation, or ants crawling across indoor surfaces. If ants are found in food storage areas, along baseboards, or around entry points, professional treatment can help eliminate the problem efficiently. Service providers can assess the property’s specific needs and recommend appropriate solutions to restore a pest-free environment, ensuring that ant issues are resolved thoroughly and effectively.

The overview below groups typical Ants Extermination Service projects into broad ranges so you can see how smaller, mid-sized, and larger jobs often compare in your area.

In many markets, a large share of routine jobs stays in the lower and middle ranges, while only a smaller percentage of projects moves into the highest bands when the work is more complex or site conditions are harder than average.

Basic Ant Removal - Most routine ant extermination jobs typically cost between $250 and $600. These projects usually involve treating small to medium-sized areas and are common for minor infestations. Costs can vary based on the extent of the ant problem and property size.

Initial Inspection and Treatment - The average cost for a thorough inspection and initial treatment ranges from $300 to $700. Larger or more complex properties may see higher prices, while smaller homes often fall into the lower end of this range.

Ongoing Pest Control Plans - Regular service plans for ongoing ant control generally cost between $50 and $100 per month. Many homeowners opt for quarterly treatments, which can add up to $150-$300 annually, depending on the level of infestation and property size.

Large or Severe Infestations - Extensive ant problems, such as those involving multiple colonies or structural infestations, can cost $1,000 or more. These larger projects are less common but are handled by local pros capable of implementing comprehensive treatment strategies.

Actual totals will depend on details like access to the work area, the scope of the project, and the materials selected, so use these as general starting points rather than exact figures.

Get a Quote

Pest Control for Cockroaches - professionals use similar inspection, treatment, and prevention techniques to address pest infestations like ants.

Termite Inspection and Treatment - involves planning and implementing targeted treatments, akin to ant extermination strategies.

Rodent Control Services - require identifying entry points and applying traps or baiting methods similar to ant control planning.

Bed Bug Extermination - demands precise treatment methods and inspection skills that are comparable to those used in ant eradication.

Spider Control Services - involve assessing habitats and applying targeted treatments, paralleling ant extermination processes.

Bee and Wasp Nest Removal - requires safe removal techniques and site assessment skills similar to ant control planning and execution.

Ants Extermination Service

When evaluating potential service providers for ant extermination, it’s important to consider their experience with similar projects. Homeowners should inquire about how long a local contractor has been handling ant control services and whether they have worked with properties similar in size or structure. A provider with a proven track record in managing ant infestations can offer insights into effective strategies and common challenges, helping to ensure that the chosen professional is well-equipped to handle the specific needs of the home.

Clear, written expectations are essential when comparing local pros for ant extermination. Homeowners should seek detailed descriptions of the services offered, including what treatments will be used, the scope of work, and any necessary preparations or follow-up steps. Having these details in writing helps prevent misunderstandings and provides a reference point for assessing whether a contractor’s approach aligns with the homeowner’s goals and concerns.

Reputable references and strong communication are key indicators of a trustworthy service provider. Homeowners are encouraged to ask for references or reviews from previous clients who had similar ant issues, as these can provide valuable insights into the quality of work and customer experience. Additionally, choosing a local contractor who demonstrates responsiveness and clarity in their communication can lead to a smoother process, ensuring questions are answered and expectations are managed effectively throughout the project.

Get an Ants Extermination Service Quote

Property owners use Ants Extermination Service services for practical projects around their homes and businesses. This guide focuses on everyday jobs and straightforward project options.

Ants Extermination Service
Ants Extermination Service

Ants can become a common nuisance for property owners dealing with everyday issues such as food contamination, structural damage, or simply an unwanted presence inside the home or business. Local contractors specializing in ant extermination are often called upon to address these situations quickly and effectively, helping to restore comfort and cleanliness to residential and commercial spaces alike. Whether ants are invading a kitchen, garden, or storage area, experienced service providers can implement targeted solutions to eliminate the problem and prevent future infestations.

Many property owners seek out local ant extermination services after noticing an increase in ant activity or discovering a sizable colony nearby. In addition to immediate removal, local contractors can advise on measures to reduce attractants and improve overall pest management. These services are frequently needed in situations where ants threaten food safety, damage property, or simply become a persistent annoyance, prompting residents and business owners to connect with experts who can handle the work efficiently.

Get an Ants Extermination Service Quote

What types of ant infestations can local contractors handle? Local ant extermination service providers typically manage common household ant species, including odorous house ants, carpenter ants, and pavement ants, among others.

How do local service providers typically eliminate ants? They often use targeted treatments such as baits, dusts, and sprays designed to eliminate colonies and prevent future infestations.

Are there environmentally friendly options available for ant extermination? Many local contractors offer eco-friendly methods that minimize the use of harsh chemicals while effectively controlling ant populations.

What steps do local contractors take to prevent ant re-infestation? They may inspect the property for entry points, advise on sanitation practices, and apply treatments that create a barrier against future invasions.

How can I find local pros experienced in ant extermination? This website can help connect with nearby service providers who specialize in ant control and extermination services in the area.

Ants Prevention Tips - Property owners can learn practical strategies to reduce ant attractants around their homes, such as sealing entry points and managing food storage.

Inspection & Identification - Local contractors can assess the property to identify ant activity and determine the most effective treatment areas.

Targeted Ant Control - Service providers can implement treatments to eliminate existing ant colonies and prevent future infestations.

Ongoing Monitoring - Property owners can set up regular inspections with local pros to keep ant problems under control over time.

Ants Extermination Service

If you are thinking about Ants Extermination Service for a property, this guide is meant to help you understand the work, the typical project types, and how different options might fit your plans.

When you are ready, you can use the quote form on this page to share a few details about your project. From there, local pros can review the basics and respond with options that match what you have in mind.

Get a Quote

Ants Extermination Quotes

Our Trusted Partners
Cantu Pest Control
Superior Pest Control
Cleveland Chemical Pest Control Service